Plan for large format retail and hardware development in South West WA clears key planning hurdle, promises local employment opportunities

Plan for large format retail and hardware development in South West WA clears key planning hurdle, promises local employment opportunitiesarticle image

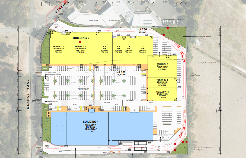
A proposal for a large format retail and hardware development in the South West region of WA has cleared a key planning hurdl...


To read the rest of this article, please log in using the form below, or sign up for a free 21-day trial and explore our full range of insights.

Log In